Page 1 of 7 1 2 3 4 ... LastLast
Results 1 to 10 of 63

Thread: Buccees definitely coming - golden opportunity

  1. #1

    Default Buccees definitely coming - golden opportunity

    This location will rival some of their largest stores in size. What an opportunity to flood the retail space with UL fan merchandise…..


  2. #2

    Default Re: Buccees definitely coming - golden opportunity

    Coming but the location isn't final. That news is just Lafayette saying you can do whatever you want in our available lots. There's other possible locations outside the parish lines along I-10.


  3. #3

    Default Re: Buccees definitely coming - golden opportunity

    Quote Originally Posted by cjr3888 View Post
    Coming but the location isn't final. That news is just Lafayette saying you can do whatever you want in our available lots. There's other possible locations outside the parish lines along I-10.

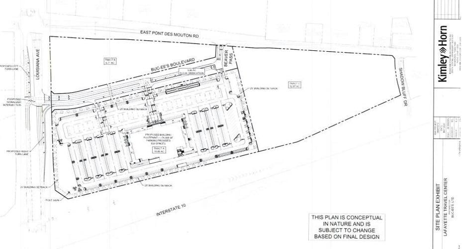
    This seems to be the rumored location

    Name:  IMG_4313.jpeg
Views: 1068
Size:  63.7 KB

  4. #4

    Default Re: Buccees definitely coming - golden opportunity

    Quote Originally Posted by facelessjonmoon View Post
    This seems to be the rumored location

    Name:  IMG_4313.jpeg
Views: 1068
Size:  63.7 KB
    That's one option but there are people behind the scenes working to get it to another location. That comes from someone inside Buccee's.

  5. #5

    Default Re: Buccees definitely coming - golden opportunity

    Quote Originally Posted by cjr3888 View Post
    That's one option but there are people behind the scenes working to get it to another location. That comes from someone inside Buccee's.
    Gotcha. That is interesting

  6. #6

    Default Re: Buccees definitely coming - golden opportunity

    Why would we want Buccee’s in Lafayette?


  7. #7

    Default Re: Buccees definitely coming - golden opportunity

    Quote Originally Posted by cajun55 View Post
    Why would we want Buccee’s in Lafayette?
    Tax revenue?

  8. #8

    Default Re: Buccees definitely coming - golden opportunity

    Quote Originally Posted by cajun55 View Post
    Why would we want Buccee’s in Lafayette?
    Why would we not want one? Tax revenue, good paying jobs, many many reasons to say yes.

  9. #9

    Default Re: Buccees definitely coming - golden opportunity

    Quote Originally Posted by cjr3888 View Post
    That's one option but there are people behind the scenes working to get it to another location. That comes from someone inside Buccee's.
    No shock there. Probably some of the same people trying to get a loop around Lafayette through property they own instead of allowing the I-49 project to proceed.

  10. #10

    Default Re: Buccees definitely coming - golden opportunity

    Quote Originally Posted by cajuns80 View Post
    Why would we not want one? Tax revenue, good paying jobs, many many reasons to say yes.
    Correct. The benefit to Lafayette is getting extra tax revenue from the thousands of cars that travel on I-10 every single day. Plus 100-150 jobs paying $20+/ hr

    It's not aimed for people that live in Lafayette or coming to Lafayette to visit. Typically they are spaced every 2-3 hours apart. Currently on the I-10/ 12 corridor there is one in Mobile, AL, 1 being built outside of Gulfport, MS and then 1 in Baytown, TX. Lafayette would bridge the gap between Baytown and Gulfport

Page 1 of 7 1 2 3 4 ... LastLast

Thread Information

Users Browsing this Thread

There are currently 1 users browsing this thread. (0 members and 1 guests)

Similar Threads

  1. Replies: 0
    Last Post: November 7th, 2023, 04:15 pm
  2. Replies: 0
    Last Post: September 30th, 2023, 04:30 pm
  3. Replies: 0
    Last Post: September 30th, 2023, 02:30 pm
  4. Replies: 0
    Last Post: August 24th, 2022, 04:39 am

Posting Permissions

  • You may not post new threads
  • You may not post replies
  • You may not post attachments
  • You may not edit your posts
  •